• 开平市人民政府门户网站
  •   
  • 关注我们:
    • 搜索
开平市自然资源局
今天是2019年4月13日 星期六欢迎进入开平市自然资源局!
您当前的位置:首页 > 开平市自然资源局 > 不动产登记专栏 > 通知公告
不动产登记公告(水口镇新市北路216号之7)
发布日期:2025-08-14 10:12
来源:本网
打印
【字体:

不动产登记公告

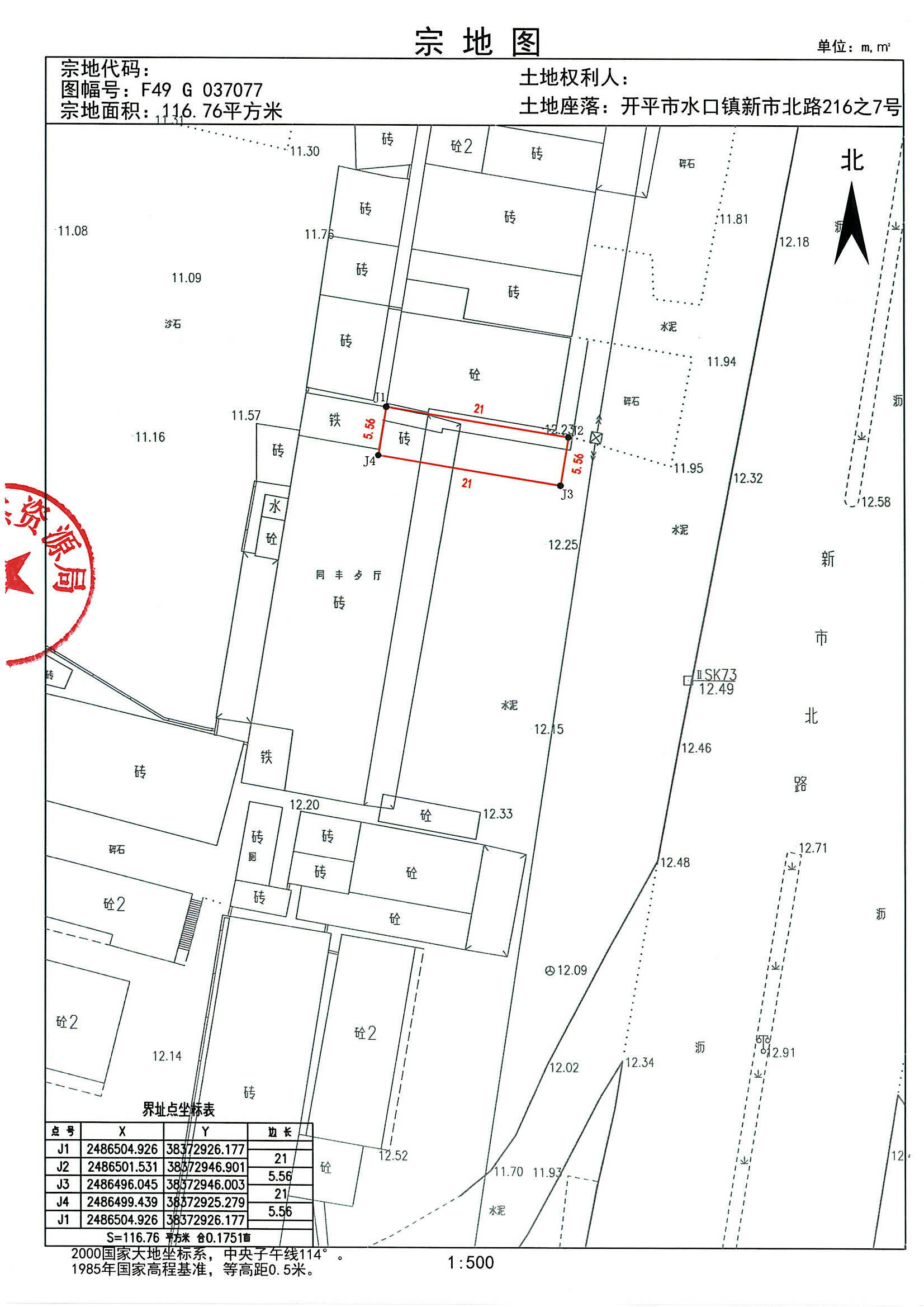
   坐落在水口镇新市北路红罗岗7号(现编门牌:开平市水口镇新市北路216号之7)[开府国用(1998)第01717号]的土地使用权,土地面积116.76平方米。用地单位谭铭巨现申请办理不动产变更登记。若对该用地界线范围内的用地或地上建筑物权属有异议者,自公告之日起15个工作日内向开平市自然资源局水口自然资源所书面提出意见。如无异议,公告期满即给该单位办理不动产登记有关手续。用地界线详见附图。

    开平市水口镇新市北路216之7号 附图.JPG

  (电话0750-2718098)

开平市自然资源局

2025 年 8 月 14 日


相关附件:

 
联系我们 网站帮助 网站地图 服务申明
 版权所有:开平市人民政府    主办:开平市人民政府办公室 
备案编号: 粤ICP备05079694号  网站标识码:4407830003  粤公网安备; 44078302000116
开平市政府网公众号